ホーム
国東半島釣り場マップ
マイマップ
国東半島釣り考察
国東半島釣行記
ホーム
国東半島釣り場マップ
マイマップ
国東半島釣り考察
国東半島釣行記
釣り場マップ一覧に戻る
黒津港の釣りポイント情報
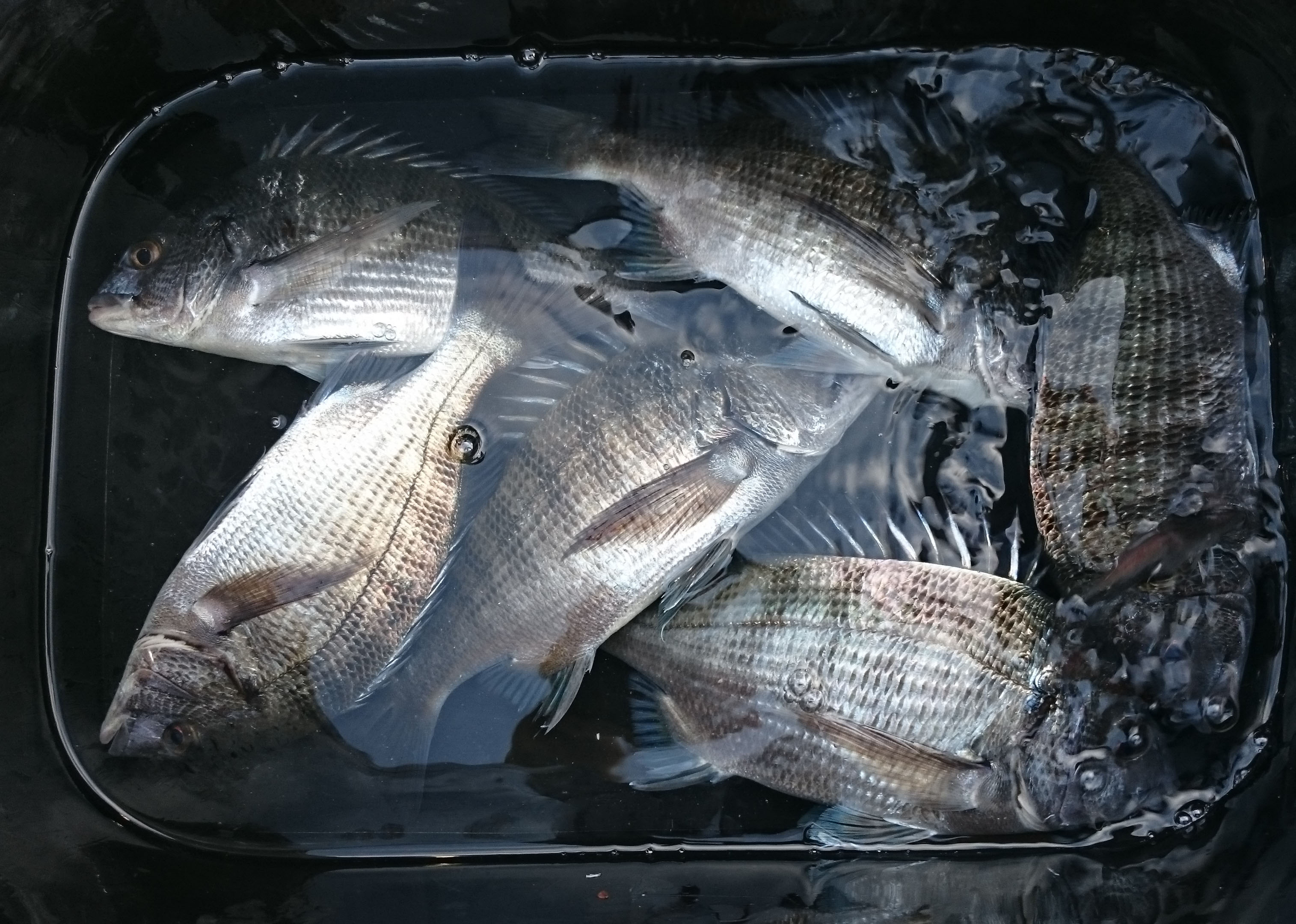
魚種:チヌ、キス
チヌとキスが釣れます。
エサ取りにコッパメジナやフグが居ます。特にフグが多いです。
過去の黒津港の釣果画像
こ、こんやつが多い
Copyright©
国東半島の魚釣り
All Rights Reserved.
↑